Новости

показать новости за

С Праздником Весны и Труда!

С Первомаем поздравляем,
Мира, радости желаем!

Проведение традиционного субботника

Сотрудники вышли на территорию учреждения в полной «боевой» готовности

Большое поступление семян на Красноярскую лесосеменную станцию

Начало недели выдалось особенно урожайным — за один апрельский день Красноярская лесосеменная станция приняла 60 проб семян

День открытых дверей 2026: как это было

Мероприятие получилось по-настоящему живым, интересным и насыщенным

В Центре защиты леса Красноярского края прошёл тренинг по подготовке докладов и презентаций

В Центре защиты леса Красноярского края уделяют внимание не только профессиональной подготовке специалистов, но и развитию универсальных навыков, востребованных в повседневной жизни

Как защититься от клещей: рекомендации специалистов лесозащитного центра

Для того чтобы «поймать» клеща, не обязательно ехать в глухую тайгу, достаточно беспечно погулять по дачному участку, городскому парку или пройтись вдоль троп и просек

Посадим дерево сами!

Сотрудники лесозащитного центра приняли участие во всероссийском проекте "Эколята-дошколята"

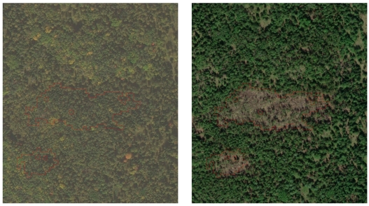
Прогнозируется ухудшение состояния лесов Красноярского края под влиянием неблагоприятных климатических факторов

Снегопад создает определённые риски для лесных насаждений

О санитарном и лесопатологическом состоянии лесов Республики Хакасия в 2025 году

Наблюдения за санитарным и лесопатологическим состоянием лесов проводились в рамках государственного лесопатологического мониторинга в 7 лесничествах